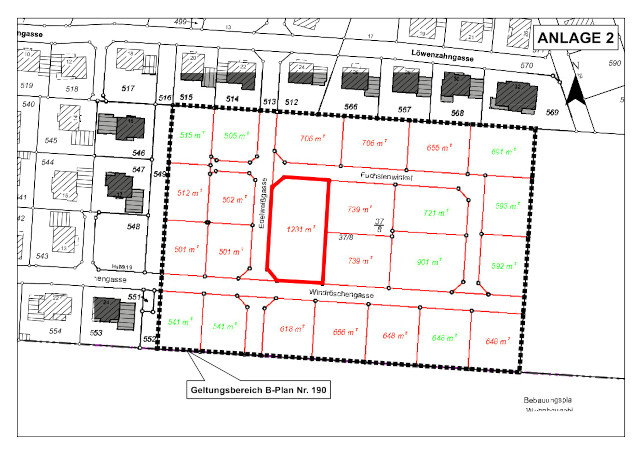
Baugebiet Rottinghauserstraße III

Grundstücksaufteilung

Planungs- und Umweltausschuss 04.02.2021

"Im neuenBaugebiet... soll neben dem Bau eines Mehrfamlienhauses durch die Gewobau Vechta nun auch der Bau von Reihenhäusern (anstelle von Einfamilienhäusern) auf dem angrenzenden Grundstück möglich sein." OV 26.02.2021

Stephan Möller hatte für die FDP Bedenken vorgetragen. In einem neuen Baugebiet sollten grundsätzlich neben Einfamilienhäusern auch Reihen- und Mehrfamilienhäuser errichtet werden. Bei der Planung und Ausweisung der Grundstücke sollten neben ökonomischen (angemessene Preise) auch ökologische (z.B. keine Schottergärten) und soziale (familienfreundliche) Gesichtspunkte Berücksichtigung finden.